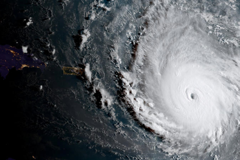
WASHINGTON: Taufan Irma kini berada pada kategori lima serta sedang bergerak menuju ke Cuba dan selatan Amerika Syarikat (AS), menurut Pusat Taufan Kebangsaan Amerika Syarikat (NHC) pada Selasa pagi, lapor agensi berita China Xinhua.
Taufan Irma berada pada kelajuan angin maksimum 280 kilometer sejam disertai angin kencang, ribut dan hujan yang dijangka menjejaskan Kepulauan Leeward di timur laut.
NHC meramalkan taufan Irma turut memberi kesan kepada semenanjung Florida dan Florida Keys sepanjang minggu ini dengan kelajuan angin 23 kilometer sejam.
"Masih terlalu awal untuk menentukan kesan langsung Irma di benua AS," kata NHC sambil memberi amaran penduduk di kawasan terdedah taufan harus sentiasa bersiap-sedia.
Penduduk Florida mula membeli stok makanan sebagai persediaan bagi menghadapi taufan Irma.
Gabenor Florida Rick Scott pada Isnin memuat naik dalam Twitternya, beliau mengisytiharkan darurat di Florida.
"Saya menggesa semua penduduk Florida sentiasa berjaga-jaga dan mengikuti berita serta perkembangan terkini keadaan cuaca," kata Scott.
Pegawai cuaca meramalkan curahan hujan sebanyak 25 sentimeter akan melanda yang boleh memberi risiko tehadap kejadian tanah runtuh.
Taufan Irma lebih teruk berbanding Harvey yang membadai Texas pada penghujung Ogos, mengakibatkan 66 orang terbunuh dan kerosakan harta benda bernilai lebih AS$70 bilion.-- Bernama


