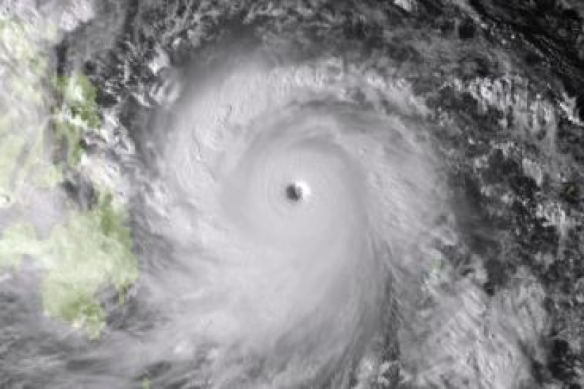
MANILA: Taufan Haiyan yang turut membawa puting beliung terkuat di dunia tahun ini, mula membadai Filipina awal pagi ini dengan kelajuan angin sehingga 275 kilometer sejam, demikian menurut agensi perkhidmatan kaji cuaca.
Haiyan yang bermula di Pulau Samar, kira-kira 600 kilometer di barat daya Manila, membadai di pesisir pantai Guiuan jam 4.40 pagi tadi waktu tempatan, demikian menurut pegawai kaji cuaca Romeo Cajulis.
Presiden Benigno Aquino semalam memberi amaran kepada penduduk agar membuat segala persiapan untuk menghadapi Taufan Haiyan yang kelajuan anginnya boleh mencecah sehingga 380 kilometer sejam apabila membadai Filipina.
“Kepada pegawai tempatan, wilayah anda akan berdepan bencana yang serius. Sama-samalah kita menghadapinya dan memberi bantuan sedaya upaya sementara Haiyan belum membadai," katamya dalam pengumuman di stesen televisyen.
“Kita cuba mengharungi kesan taufan ini sekecil mungkin dengan sikap tolong menolong. Marilah kita bertenang terutama dalam kita berpindah dan membawa keperluan kita ke tempat selamat," katanya.
Aquino juga memberi amaran jangkaan rebut berkenaan turut membawa banjir besar dan memusnahkan herta benda terutama di sebelah pantai dengan ombak boleh menjangkau setinggi enam meter atau 20 kaki.
Lebih 125,000 penduduk di kawasan beririko sudah dipindahkan sebelum Haiyan melanda, demikian menurut pegawai pertahanan awam Filipina. Pihak berkuasa berkata sekolah di kawasan yang bakal dilanda taufan sudah diarah tutup, manakala perkhidmatan feri dan nelayan diarah menyelamatkan bot mereka atau balik ke pantai.
Di ibu negara Manila, yang dijangka tidak mendapat kesan langsung dari taufan berkenaan bagaimanapun menyaksikan banyak sekolah ditutup hari ini.
Syarikat penerbangan seperti Philippine Airlines, Cebu Pacific dan beberapa syarikat penerbangan lain mengumumkan penggantungan ratusan penerbangan yang kebanyakannya domestic dan beberapa penerbangan antarabangsa. - AFP


